familia facebook pixel

Família, pais e filhos: Destaques

O que você não pode deixar de ler

5 motivos para amar a escola nos EUA

Escola nos EUA Desde que eu mudei com a família para os Estados Unidos eu descobri que morar aqui é bem diferente de passar férias.…

Continue lendo…

Casas em Orlando: como fazer bom negócio?

Muita gente me pergunta sobre casas em Orlando. Devo comprar? Alugar? Vale a pena investir numa cidade tão turística? É um risco muito grande investir…

Continue lendo…

Escola e adaptação

Escola e adaptação em geral são os temas que mais preocupam as mães e pais quando falamos de mudança de país. Primeiro a gente pensa:…

Continue lendo…
Investir em Orlando
Família muda tudo apóia a UNICEF

Últimos posts

Família é tudo: Confira as últimas novidades

Ser mãe: como é difícil!

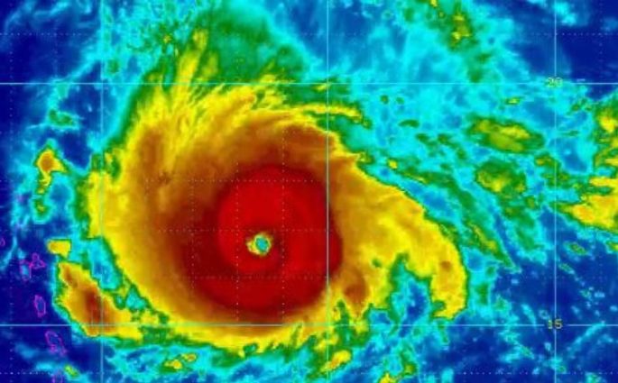
Acordo no meio da noite. Nada aconteceu. Não chove nem venta. Mas meu coração bate forte. Será que eu devia ter viajado para evitar encontrar o furacão Irma? Será que ficaria na estrada, presa nos milhares de quilômetros de congestionamentos? Será que tudo não vai passar de uma tempestade forte? Será que eu devia ter enfiado a família toda num vôo? Afff! Como é difícil ser mãe. Ser mãe é

Continue lendo…

Furacão Irma está perto

Mais uma vez enfrentamos a apreensão de receber a visita de um furacão aqui nos Estados Unidos. Dessa vez é o Irma. A tempestade que está se dirigindo para o sul do país atingiu a categoria 5, a mais forte na escala de medidas Saffir-Simpson. De acordo com o Centro Nacional de Furacões quando o furacão atinge essa força, os ventos superam 251 km/h. Chuva torrencial e ventos fortes são esperados no sul

Continue lendo…

Filtro dos sonhos

Comprei essa semana um filtro dos sonhos. Pra quem não conhece é um amuleto típico da cultura indígena norte-americana. Supostamente, essa peça teria o poder de separar os “sonhos negativos” dos “sonhos positivos”. De trazer sabedoria e sorte. Enfim, essa foi mais uma tentativa no sentido de ajudar Nina a dormir. Há meses minha filha tem sentido medo de ficar sozinha. Primeiro achei que era medo de escuro. Comprei um abajur. Não

Continue lendo…

x

Newsletter Familia Muda Tudo

Cadastre-se em nossa newsletter!